MAPAS & LOTES
Regularize já seu imóvel.
Veja o seu lote e regularize seu imóvel com A Cabo Frio AgroPastoril. Facilitamos o processo junto aos principais órgãos competentes. Entre em contato com a gente o mais rápido posssível. Estamos aqui para ajudar você a garantir segurança jurídica e tranquilidade sobre seu patrimônio.
Clique aqui e saiba mais sobre o empreendimento.
Para situação patrimonial, histórico e detalhamento, clique aqui.
A demarcação da área de loteamento que foi aprovada pela Prefeitura Municipal de Cabo Frio:
Mapas Quadra 11
Situada de frente para a Rua dos Robalos e fundos para a área da antiga salina, possui esta quadra o número de dezenove lotes.
PDF para dowload:
Mapas Quadra 17
Situada entre as ruas Barracudas, Peixe Lua e Avenida dos Pescadores, possui esta quadra o número de dezenove lotes.
PDF para dowload:
Mapas Quadra 20
Situada de frente para a Rua Budião e Avenida Marlin, e fundos para a Lagoa de Araruama, possui esta quadra o número de trinta e sete lotes.
PDF para dowload:
Mapas Quadra 21
No projeto aprovado esta quadra comportava o número de sessenta e cinco lotes, mas não foram executados os lotes numerados de 1 a 31, situados entre o canal e a área da antiga salina. Os lotes 32 a 34 estão de frente para a Rua dos Robalos (no prolongamento da quadra nº 11), e os lotes 35 a 65 estão situados de frente para a Avenida dos Marimbás. Portanto, possui esta quadra o número de trinta e quatro lotes.
PDF para dowload:
Mapas Quadra 22
Formada por quatro blocos e setenta e dois lotes, contidos entre a Avenida dos Marimbás e Rua Bijupira, assim se descreve: um bloco contendo dezoito lotes (1 a 18) situado entre a Rua dos Robalos e a Rua do Cherne, um bloco contendo dezoito lotes (19 a 36) situado entre a Rua do Cherne e a Rua do Pampo; um bloco contendo dezoito lotes (37 a 54) situado entre a Rua do Pampo e a Rua das Conchas; um bloco contendo dezoito lotes (55 a 72) situado entre a Rua das Conchas e a Rua do Mira, estando este bloco dividido ao meio por um canal.
PDF para dowload:
Mapas Quadra 23-A
Situada entre as ruas Robalos e Camarões e entre os becos Puçá e Tarrafas, possui esta quadra o número de oito lotes.
PDF para dowload:
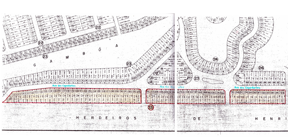
Mapas Quadra 23
Desenvolta na forma de uma longa faixa, passa pelas ruas Espadartes, Orca, Av. dos Pescadores, Bijupira, Camarões, Robalos, Becos do Puçá e Tarrafas. Possui cento e trinta e dois lotes, cuja numeração está mostrada neste trabalho.
PDF para dowload:
Mapas Quadra 24
Situada ao longo da Avenida dos Pescadores, Rua Peixe Voador e Avenida Marlin, tendo ao fundos a lagoa de Araruama, possui esta quadra o número de oitenta e dois lotes.
PDF para dowload:
Mapas Quadra 25
Formada por três blocos e vinte e nove lotes, assim se descreve: um bloco contendo nove lotes (1 e 9) de frente oara a Rua das Garoupas e fundos para um terreno alagado; um bloco contendo treze lotes (10 ao 22) de frente para as ruas Rombudos e Barracudas; um bloco contendo sete lotes (23 a 29) entre as ruas Garoupas, Rombudos e Avenida Marlim.
PDF para dowload:
Mapas Quadra 26
Situada ao longo das ruas L. Carlos Wagner Peixoto, Av. dos Pescadores e Rua dos Espadartes, com fundos para a área de mata, possui esta quadra o número setenta e dois lotes. Chama a atenção a questão da invasão sobre a área de reserva, que se visualiza ao final da Rua dos Espadartes.
PDF para dowload:
Mapas Quadra 27
Possui forma triangular e situa-se entre as avenidas dos Pescadores e Marlim e Rua Peixe Voador, contendo vinte e quatro lotes cujos fundos são banhados pelas águas da lagoa de Araruama.
PDF para dowload:
Mapas Quadra 28
Envolta pelas ruas Agulhas, Baiacus e Barracudas, e avenidas do Pescador e Marlim, possui esta quadra o número de setenta e três lotes.
PDF para dowload:
Mapas Quadra 29
Desenvolta na forma de uma longa faixa, passa pela Rua Barracudas, Avenida dos Pescadores, Rua dos Anequins, Rua Aqualung e Badejos, contendo cento e trinta e oito lotes.
PDF para dowload:
Mapas Quadra 30
Situada entre as avenidas dos Pescadores e ruas Agulhas, Baiacus e Arraias, possui esta quadra o número de vinte e sete lotes.
PDF para dowload:
Mapas Quadra 31
Situada entre as ruas Barracudas, Mako, Peixe Lua e Av. dos Pescadores, possui esta quadra o número de vinte e sete lotes.
PDF para dowload:
Mapas Quadra 32
Situada entre as ruas Mako, Arraias, Peixe Lua e Avenida dos Pescadores, possui esta quadra o número de vinte e sete lotes.
PDF para dowload:
Mapas Quadra 33
Situada de frente para a Rua dos Espadartes e fundos para terreno de herdeiros de Henrique Lage, possui esta quadra o número de sessenta lotes.
PDF para dowload:
Mapas Quadra 34
Situada entre as ruas Piloto e Manjuba e Avenida dos Pescadores, e fundos para a área de reserva e terreno de herdeiros de Henrique Lage, possui esta quadra o número de trinta e um lotes.
PDF para dowload:
Mapas Quadra 35
Situada entre as ruas L. Carlos Wagner Peixoto e Piloto e Avenida dos Pescadores, com fundos para terreno de herdeiros de Henrique Lage, possui esta quadra o número de dezesseis lotes.
PDF para dowload:
Mapas Quadra 36
Formada por três blocos e setenta e um lotes, assim distribuídos: um bloco contendo trinta e nove lotes, sendo vinte e cinco lotes (1 a 25) de frente para a Avenida dos Pescadores e quatorze lotes (26 a 39) de frente para a Rua do Anzol; um bloco contendo seis lotes, sendo quatro deles (40 a 43) de frente para a Rua do Anzol, e dois deles (44 e 45) de frente para a Rua das Arraias; um bloco contendo vinte e seis lotes (46 a 71), sendo doze deles (46 a 57) de frente para a Rua das Arraias, três deles (58 a 60) de frente para a Avenida dos Pescadores, e onze deles (60 a 71) de frente para a Rua Manjubas.
PDF para dowload:
Mapas Quadra 37
Possui um bloco com dezenove lotes (1 a 19) e um bloco com oito lotes (20 a 27) ambos situados entre a Rua dos Badejos e Avenida dos Namorados, frente para a Praia do Peró; e um bloco com onze lotes (31-A / 32 a 41) de frente para a Avenida dos Pescadores, perfazendo o total de trinta e oito lotes.
PDF para dowload:













































